L.A. City Shares Update on Hollywood Blvd. Improvements
Today, the L.A. City Transportation Department (LADOT) shared a few additional details about their Hollywood Boulevard Safety and Mobility Project. The Vision Zero project is designed to reduce deaths and injuries from car crashes.

Some Streetsblog readers may be familiar with the project, announced by City Councilmember Hugo Soto-Martinez in March, after earlier community engagement.

The project features bike/walk safety upgrades on just over two miles of Hollywood Boulevard in the L.A. City communities of Hollywood, Los Feliz, and East Hollywood. LADOT will install protected bike lanes (mostly parking-protected), painted curb extensions, and additional quick-build features.


This summer LADOT will implement the majority of the project: improvements from Gower Street to Lyman Place.
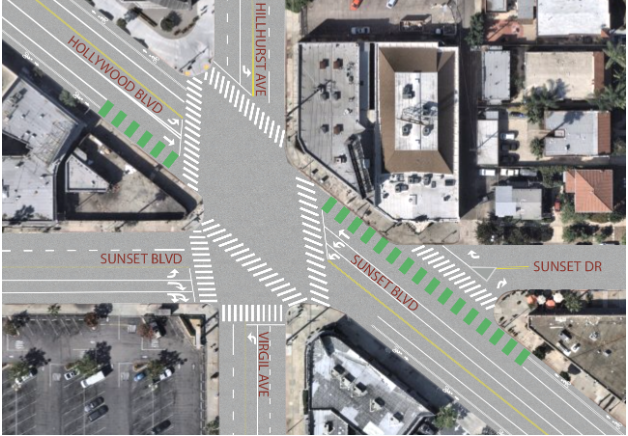
A second phase – about a quarter-mile from from Lyman Place to Fountain Avenue – will be installed “at a later date.” That second phase will extend the protected bikeway through the six-way intersection at Sunset Boulevard, Virgil Avenue, and Hillhurst Avenue.


The short later segment designs are still being finalized, but LADOT notes that the current plan is to remove a block of on-street parking on Sunset between Virgil/Hillhurst and Fountain.

Read More:
Streetsblog has migrated to a new comment system. New commenters can register directly in the comments section of any article. Returning commenters: your previous comments and display name have been preserved, but you'll need to reclaim your account by clicking "Forgot your password?" on the sign-in form, entering your email, and following the verification link to set a new password — this is required because passwords could not be carried over during the migration. For questions, contact tips@streetsblog.org.