Today in Exide: DTSC Begins 2nd Phase of Residential Clean-up; Releases DEIR and Draft Closure Plan for Vernon Facility

Last week, the Department of Toxic Substances Control (DTSC) began a second round of clean-ups of lead-contaminated soil in the residential areas around Exide Technologies’ now-shuttered lead-acid battery recycling facility. The Vernon plant and serial violator of environmental regulations cut a deal with the U.S. Attorney’s Office in March, 2015, to close up shop in exchange for avoiding criminal prosecution. As part of the closure process, Exide must clean up toxic waste at its former facility as well as lead-contaminated soil at residences, schools, and parks surrounding the plant.
Begun last year, the first round of residential clean-ups targeted the 219 properties found within the original Northern and Southern Assessment Areas — areas straddling Boyle Heights, East L.A., and Maywood that air modeling determined would be most likely affected by Exide’s lead emissions (outlined in light blue, above). More than 10,000 tons of contaminated soil was ultimately removed from a total of 186 properties.
Challenges in Cleaning up Residential Properties
While last week’s launch of the second round of clean-ups does mark an important milestone, it is only the beginning of the potentially massive project that lies ahead. This past August, the preliminary results of soil testing in expanded areas to the north and south of the plant suggested that Exide’s emissions may have deposited lead dust over as many as 10,000 homes within a 1.3 to 1.7-mile radius of the facility (above map).
Only 146 properties in the Expanded Assessment Areas have been tested thus far, with 50 being prioritized for immediate clean-up. And while 2,800 letters have been sent out to residences within the expanded areas, it is not clear what the timeline will be for following up on those letters and getting properties tested and/or cleaned. Nor is it clear when DTSC will have sufficient funds to perform a wider clean-up.
Per an order, Exide is on the hook for cleaning up any home where lead levels exceed 400 parts per million and homes with bare soil where levels exceed 80 parts per million (the level at which the state recommends further health screenings). But the settlement reached last November initially set aside just $9 million for residential clean-ups. As clean-ups cost about $40,000 per property, those funds only cover approximately 225 sites. And, as of the end of October, DTSC had already used up $8 million of those funds. DTSC was able to secure an additional $5 million from Exide earlier this spring and $7 million in emergency funds from the state in August. But those funds are nowhere near enough to cover testing and clean-ups in the much wider range of territory Exide is thought to have contaminated.
Funding issues aside, the actual clean-up process itself has also had some challenges. Residents have complained that parkways adjacent to contaminated yards were not cleaned and are concerned that, should the contractors have to return to clean the parkways at some point, the dust kicked up could contaminate the yards that had just been cleaned. Advocates have also argued that DTSC is not doing enough to inform residents about the option of having the interiors of their homes cleaned, that it is doing a poor job of letting people know of the extent to which they are at risk from harmful toxins, and that the process is not moving nearly fast enough, given the potential harm. And officials from Commerce — frustrated that they had been overlooked despite their location just to the east of the plant — suggested they may conduct their own testing rather than wait for DTSC.
In an effort to allay some of these fears and promote greater transparency, DTSC has drafted a community engagement plan and meets regularly with an advisory group comprised of community members and advocates and representatives of elected officials and relevant government agencies. It also released the Interim Remedial Measures Work Plan, which offers a detailed discussion of how contaminated soil from the 50 yards prioritized for clean-ups will be safely removed and trucked to distant landfills over the next six months.
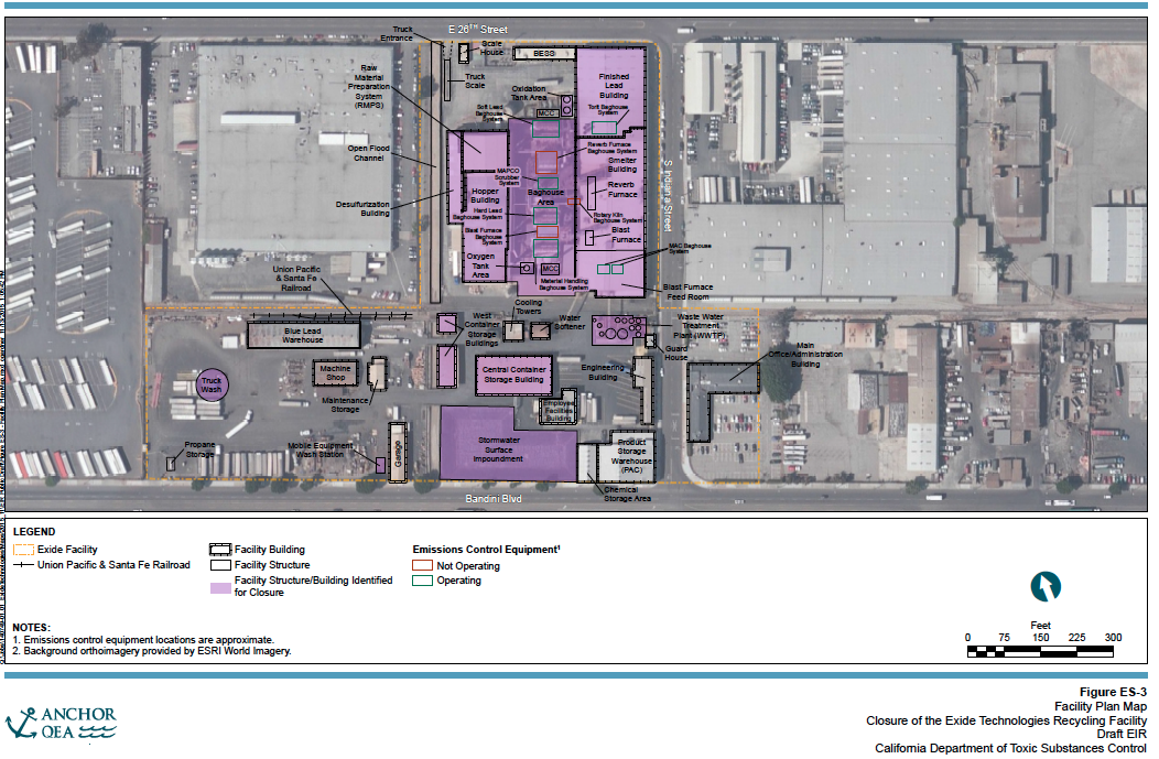
Cleaning up Exide’s 15-acre Site in Vernon
Other new documents released and up for comment include Exide’s Draft Closure Plan and the Draft Environmental Impact Report (DEIR) (full DEIR, here).
The 264-page Closure Plan — needed to ensure health and safety will be protected before the dismantling and decontamination can begin at the 15-acre site — is a very long time coming. [See the Executive Summary, here, appendices, here.]
An earlier version of the draft, submitted in May of this year, was returned to Exide with 82 pages of comments. The weighty Notice of Deficiency signaled a clear disappointment in Exide’s carelessness and inattention to detail. Exide was slammed for not having a proper Executive Summary, not knowing which regulations it was being asked to act in accordance with (and which ones were non-existent), not seeming to know it had to adhere to closure performance standards (not just meet clean-up levels), not creating plans for the movement of slag, the dismantling of the Finished Lead Building, or for assessing/removing the soil contamination once particular sites were dismantled, and not having “any discussion on oversight for closure activities at the facility….an organizational plan for who will provide oversight [or] how oversight will be conducted.” And those were the comments from just one senior engineer in the Hazardous Waste Management Program at DTSC.
Other DTSC specialists harped on Exide’s lack of attention to the methods it would use to clean up contaminated elements of the facility or address ongoing issues, like leaks of contaminated water. Exide apparently also received a host of critiques from the Air Quality Management District in June (which also sued Exide for $80 million in damages for transporting lead chips in leaky trucks), and did not submit a revised draft Closure Plan until July 28.
The July draft was apparently suitable enough, as DTSC drew up the DEIR to examine the potential environmental impacts the closure activities outlined in the plan might have. The DEIR does list some potential revisions for the plan. One major issue involves seven kettles containing more than 12 tons of lead in them. Cranes can be used to remove kettles with less than 12 tons of lead, but those holding more must be moved some other way. In the Closure Plan, Exide suggests re-firing and melting the lead, as that requires the least time and manpower. In the DEIR, concerned about potential emissions, DTSC contemplates cutting the lead up with water or air jets, and explores the subsequent environmental consequences of each.

Other issues raised in the DEIR include the request that Exide replace the current topographic map with a new survey to show all of the changes made at the facility since 2006, alter its truck routes, make modifications to the stormwater system deconstruction process, plan for having to construct an on-site landfill to be able to cap waste there, and perform a site-wide Health Risk Assessment to evaluate the harm the cleaned site might pose and mitigating measures that can be taken (once the first phase of the closure is complete).
The specific harms the DEIR foresees with the closure do not seem to be as severe as one might expect, given the number and range of violations Exide was guilty of prior to its closure. The report seems to warn mainly against the potential for excessive and unavoidable emissions of nitrogen oxides and other greenhouse gases throughout the process of dismantling and removing the facility’s structures. Accidents, the report notes, also have the potential to do irreversible damage to the environment.
One thing that does not appear explicitly in the report are discussions of how Exide’s penchant for treading all over environmental standards and strong-arming communities will be managed. Section 1.3 of the DEIR offers a long list of agencies tasked with ensuring Exide is in compliance with environmental regulations. But, as the good people of a number of communities across the U.S. can sadly attest, even when the relevant agencies have tried to exact compliance, Exide has managed to inflict significant environmental harm. In Frisco, Texas, where Exide was forced to shut down operations three years ago, the post-closure clean-up of the area has been fraught with problems (including the disappearance of a bucket of potentially contaminated waste off the back of a truck) and concerns about whether Exide would even continue to comply with the settlement agreement. Last year, Frisco found itself leveling fresh accusations that Exide was continuing to downplay the contamination at the former plant site in order to hurry the clean-up process along and minimize costs.
Exide has already downplayed their responsibility for lead contamination in the areas surrounding the Vernon plant. An Exide-sponsored study of soil lead concentrations published this summer declared that, beyond the footprint of the facility, “Exide’s estimated contributions to soil lead concentrations are no longer statistically distinguishable from [existing] background concentrations.”
In layman’s terms, that essentially translates to, “Good luck in trying to hold us accountable.”
Next Steps
The community will have an opportunity to voice their concerns or support for the Closure Plan and DEIR during a public hearing at the Commerce City Council Chambers on January 12, 2016.
Once input has been heard from the community, the AQMD, and the City of Vernon and the Closure Plan has been approved by DTSC, Exide will have 30 days to begin work on Phase I of the plan.
According to the timeline found in the Closure Plan (above), Exide estimates that it will take them 5.75 years to dismantle and dispose of the existing facility (an estimate that stands in contrast to DTSC’s projections in the DEIR that it should take 19 – 24 months). A shorter timeline, Exide posits, would make it impossible for them to “complete inventory removal and unit decontamination in an environmentally responsible manner.”
Phase II, entailing the sampling and clean-up of the soil and groundwater beneath the site, was originally projected to be finished in June of 2020. Exide now suggests that it will not even begin planning for Phase II until 2021 (when it will submit a Contingent Closure Plan to DTSC for approval) and that the site clean-up will likely not be complete until 2024. Phase III, listed in an AQMD document as “ongoing” long-term closure, inspection, monitoring, and maintenance activities at the site, is expected to last nearly 30 years, continuing into 2053.
If you’d like to submit comments regarding the DEIR or Closure Plan, you are invited to Commerce City Council Chambers (2535 Commerce Way) from 6 to 8 p.m. on January 12, 2016. Comments can also be directed through February 12, 2016, to Wayne Lorentzen, DTSC Permitting Division, 8800 Cal Center Drive, Sacramento, CA 95826 or Wayne.Lorentzen@dtsc.ca.gov. Si prefiere hablar con alguien en español acerca de ésta información, favor de llamar a Carlos Ortega 818-717-6698. Find the DEIR, Draft Closure Plan, and other Exide-related documents, here.
Read More:
Streetsblog has migrated to a new comment system. New commenters can register directly in the comments section of any article. Returning commenters: your previous comments and display name have been preserved, but you'll need to reclaim your account by clicking "Forgot your password?" on the sign-in form, entering your email, and following the verification link to set a new password — this is required because passwords could not be carried over during the migration. For questions, contact tips@streetsblog.org.

